Exceptional opportunity and Amazing location! This property features two character homes, both full of vintage charm in West Maple Ridge. set on a massive 56,000 sq ft lot with outstanding rezoning potential for townhomes. Perfect for visionary developers or investors, the site is ideally suited for future growth—pending city approval and required professional work to rezone. Don’t miss this rare chance to unlock significant value and transform this prime land into a thriving new community.
Address
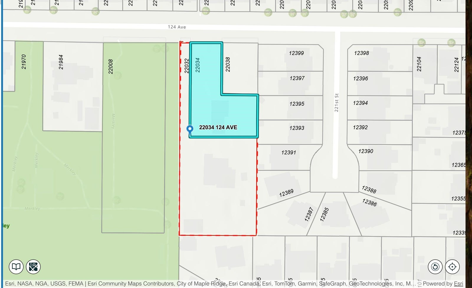
22034 124th Avenue
List Price
$3,995,000
Property Type
Residential
Type of Dwelling
Single Family Residence
Structure Type
Residential Detached
Transaction Type
Sale
Area
Maple Ridge
Sub-Area
West Central
Bathrooms
1
Floor Area
4,600 Sq. Ft.
Main Floor Area
3300
Lot Size
52907 Sq. Ft.
Lot Size Dimensions
82.5 x 195
Lot Size (Acres)
1.21 Ac.
Lot Size Units
Acres
Total Building Area
4600
Frontage Length
82.5
Year Built
1962
MLS® Number
R3041076
Listing Brokerage
Royal LePage - Brookside Realty
| Royal LePage - Wolstencroft
Basement Area
Finished
Postal Code
V2X 4J2
Zoning
RS-1
Ownership
Freehold NonStrata
Parking
Garage Double, Open, Front Access
Parking Places (Total)
10
Tax Amount
$13,078.25
Tax Year
2024
Board Or Association
Greater Vancouver
Heating
Yes
Heat Type
Baseboard, Electric, Forced Air
Fireplace
Yes
Fireplace Features
Wood Burning
Number of Fireplaces
2
Garage
Yes
Garage Spaces
2
Levels
Two
Number Of Floors In Property
2
